Sold

2107 Melba Highway, Dixons Creek

SOLD for $3,000,000

5 3 33 119.00 ac

120 ACRES - Defining acreage experience in the Yarra Valley

Commanding vast views of the Yarra Valley, this craftsman built 30 sq home envisions a versatile equine / short stay / agricultural investment second to none. The 4 bedroom plus study, 3.5 bathroom home has been built with the highest luxury in mind: soaring ceilings, Passivhaus inspired thermal design, and a lean towards practicality and comfort in every decision.

Beautifully articulated with its 30 degree pitch and windows to wide views, this home provides the romance and the essentials: built-in robes in every room, bedrooms capable of fitting 2 Queen beds side-by-side, double glazing, structural-steel frame, 6-star energy rating, double ovens – the list goes on.

The ambient temperature is regulated with 3 thermostats connected to the Mitsubishi electric refrigerated zoned air conditioning. Additionally, hydronic heating is provided in-slab (zoned for efficiency with 2 manifolds), as well as the charm of wood heating. The home normally enjoys ambient 18 degree temperature without the hydronic heating. The home has been insulated to the highest possible rating, wrapped in R1.3 insulation blanket in the roof plus R2.5 batts in all walls and R5.0 in the ceiling.

Entertain in your wide open plan living where bi-fold doors with retractable fly screens open onto a salt chlorinated heated pool. The wraparound deck under remote-controlled louvre roofing provides for luxurious afternoon parties in view of the entire Yarra Valley. Or retreat through soft-closing barn doors to a private second lounge. It is the home of entertaining or quiet solitude.

THE SHEDS

12 x 25 m 5-bay machinery shed with mezzanine (150 mm footings)
Accommodates 20 cars

7.4 x 11.2 m 3-bay garage shed
Accommodates 3 cars

9 x 16 m farm shed + 7 m carport
Accommodates 10 cars

THE GROUNDS

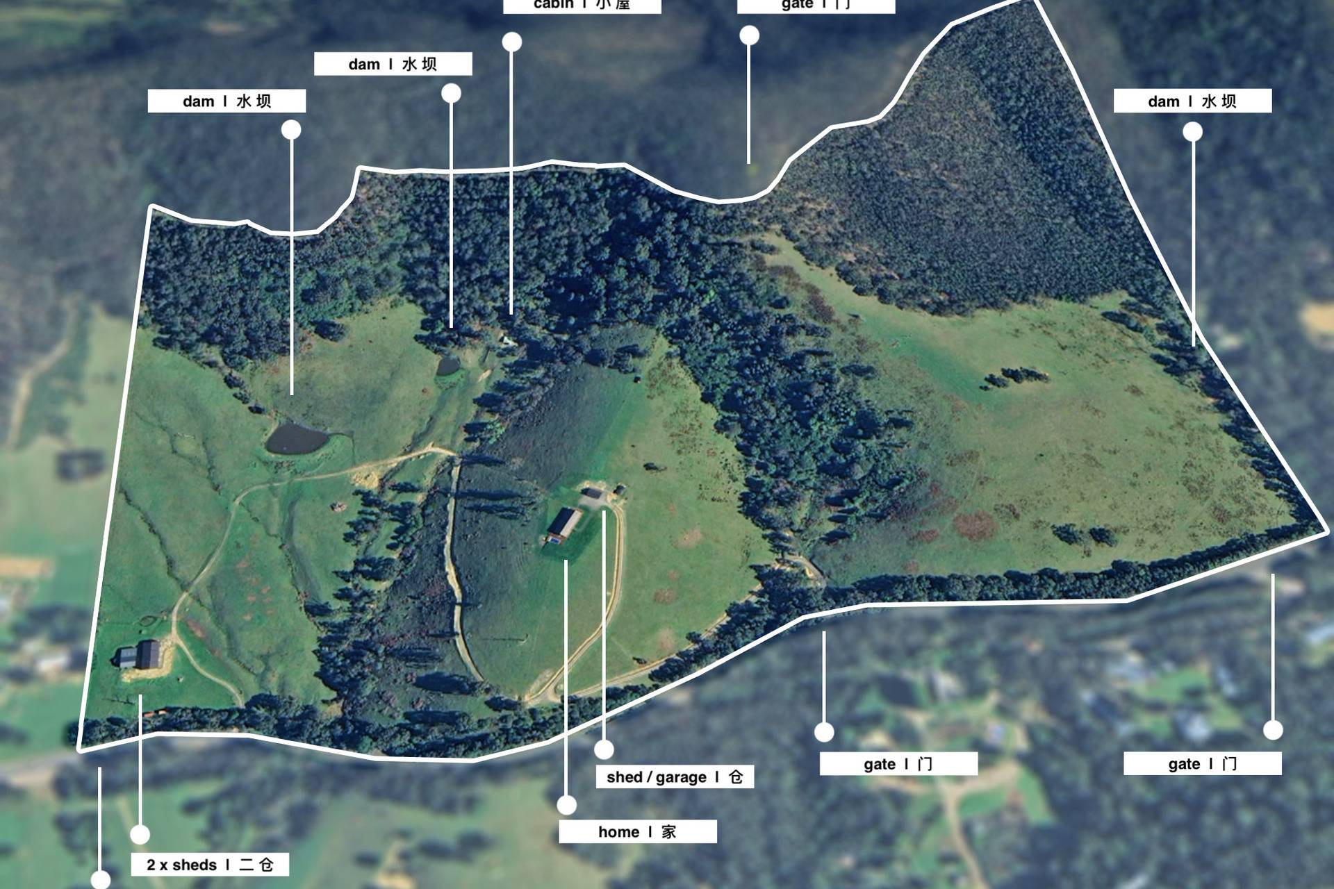
4 gated access points (including automated entry gate), dedicated truck access, full boundary fencing and 4 paddocks. It is a capable farm with 3 dams, good fall for water catchment, but an easily managed holding of 90 acres clear.

Ideal for the hunter, with back-gate access to Brock Spur Track which connects through to Kinglake – mountain bike ride or hike in the serenity of the bush. Some 30,000 acres of crown land is at your doorstep to explore.

13 ACRE VACANT LAND PARCEL FOR SEPARATE SALE

Additionally, the property offers a separately titled 13 acre allotment that may be purchased. The 13 acre allotment enjoys 175 m of road frontage and may be further developed (STCA) - consider the value of a vacant 13 acres in Dixons Creek alone! For further details, contact Rob Verhagen.

*** Registrations for inspection attendance are essential ***

Features

Balcony Deck Fenced Outdoor entertainment area Secure Parking in-Ground Pool Water Tank Solar Panels BAL 12.5 Bath Floorboards 2 Phase Power Accommodation Potential Airbnb Potential Area Views Study
5 3 33 119.00 ac

Details

Address 2107 Melba Highway, Dixons Creek
Price SOLD for $3,000,000
Property Type Residential
Property ID 665
Category House
Land Area 119.00 ac
Floor Area 307 m2

Tools

Share This Property